
Services
Surveying & Reality Capture



Surveying & Reality Capture
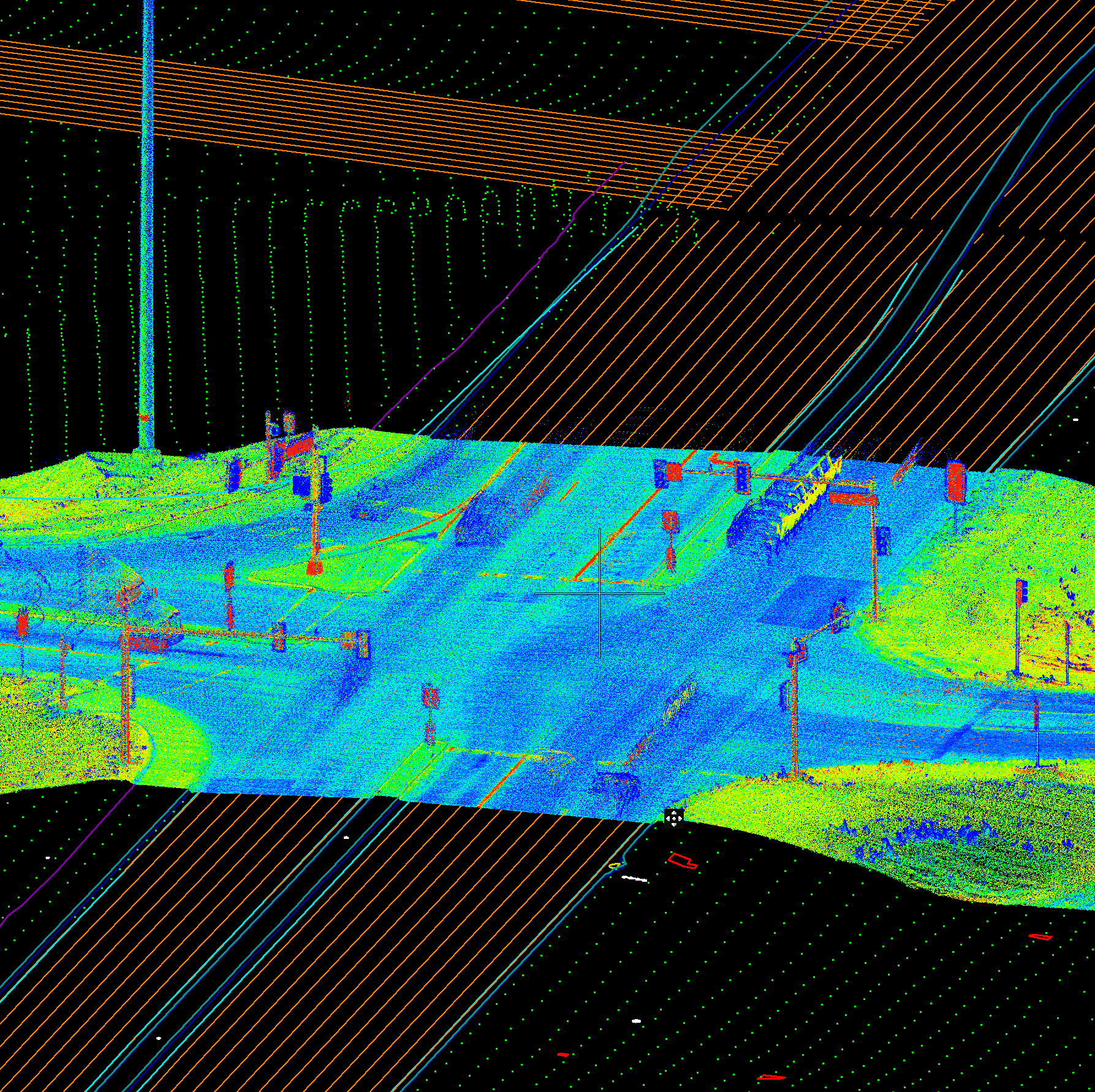
Embark on a journey of precision and expertise with our team’s comprehensive surveying services. From boundary surveys that meticulously define property lines to ALTA/NSPS land title surveys that secure real estate transactions, we are your trusted partner for accurate land delineation. In addition to traditional survey methods, we use Reality Capture LiDAR technology, which allows our team to quickly and effectively collect massive amounts of data to help with project design and decision making.
Capabilities
Related Projects
explore our
Core Capabilities
Ready to start a project?
Get in touch with our Surveying & Reality Capture experts today.
Sector Lead
explore more


